We always have new land opportunities coming into our inventory, some of which aren’t on our blog yet! Get in touch with a Land Matcher at bclmp@youngagrarians.org to learn about the latest opportunities and to access free B.C. Land Matching Program services in your region.
ABOUT THE LAND
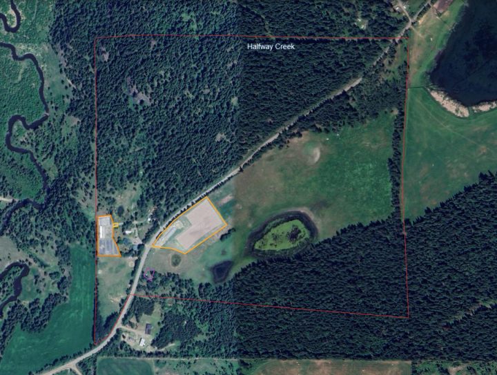
Situated in the heart of the Cariboo, less than 20 minutes from 100 Mile House, Big Rock Ranch has 40+ acres of land available for organic farming. Historically, the land has been used for certified organic market gardening, forage for cattle and horses, and pastured raised layers and meat birds. In recent years, the ranch has been run as a mixed vegetable and livestock operation, shipping to wholesalers and selling at farmers markets.
The property features five acres of cultivated lands, including market gardens, field production, and greenhouses (a commercial 105 x 30 foot heated greenhouse, and three caterpillar tunnels). There is also an additional 40 acres of space that could potentially be used for grazing livestock.
As it is an operating farm, there is plenty of infrastructure already established on the property, including a storage/cool room, packing station, nursery, and trailer/washhouse. Available equipment includes: BCS walk-behind tractor with implements (tiller, power harrow, flail mower, and hiller), hand tools, bins, and more. The land is perimeter-fenced as well as crossed-fenced, with 5-strand barb wire and electric fencing. Water is available from a well and pond on the property, with irrigation systems already set up.

ABOUT THE OPPORTUNITY
Big Rock Ranch is a small-scale regenerative farm dedicated to responsible stewardship of the land. They strive to enhance soil health and biodiversity by maintaining pollinator forage and nesting habitat and using low-till, pesticide-free, and rotational grazing practices.
On the long-term, the farmers/landholders would love to keep the land in certified organic production of mixed fruit, vegetables, forage and livestock. The incoming farmer could operate a market garden on the five-acre cultivable space, graze livestock on the additional 40 acres, keep bees, and more! This is a flexible opportunity open to many types of production, so bring all your ideas to discuss. There may also be room to discuss a business partnership or mentorship as part of the opportunity.
If the incoming farmer would like to live on-site, they could bring their own tiny home/mobile home or cabin onto the property!

ABOUT THE IDEAL CANDIDATE
The ideal candidate for this opportunity would be committed to implementing sustainable farming practices, to maintain the health of the soil and surrounding environment. Given that there are three residents living in their own homes on the property, the ideal candidate would value good communication and a positive relationship while sharing the land.
If you are a farmer looking for a turn-key land opportunity (with infrastructure and equipment already on-site), reach out now – opportunities like this are not easy to come by!

GET IN TOUCH!
This land is available through the B.C. Land Matching Program. If you are interested in this land opportunity, please contact the Central North Land Matcher, Meghan Masson, at meghan@youngagrarians.org with the link to this post, any relevant photos, and a paragraph or two on each of the following topics:
- About you
- Your farming experience
- Your plans for the land
For more details, check out the U-MAP Listing for this property.
For more land opportunities, and to learn more about the B.C. Land Matching Program, please visit youngagrarians.org/land.
The B.C. Land Matching Program is funded in Central & Northern B.C. under the Sustainable Canadian Agricultural Partnership, with additional support from the Real Estate Foundation of BC.


